
ABŞ Milli Okean və Atmosfer Tədqiqatlar İdarəsinin (NOAA) ekspedisiya üzvləri Atlantik okeanının dibində sirli dəliklər aşkar ediblər.
Oxu.Az-ın xəbərinə görə, bu barədə qurumun saytında məlumat verilib.
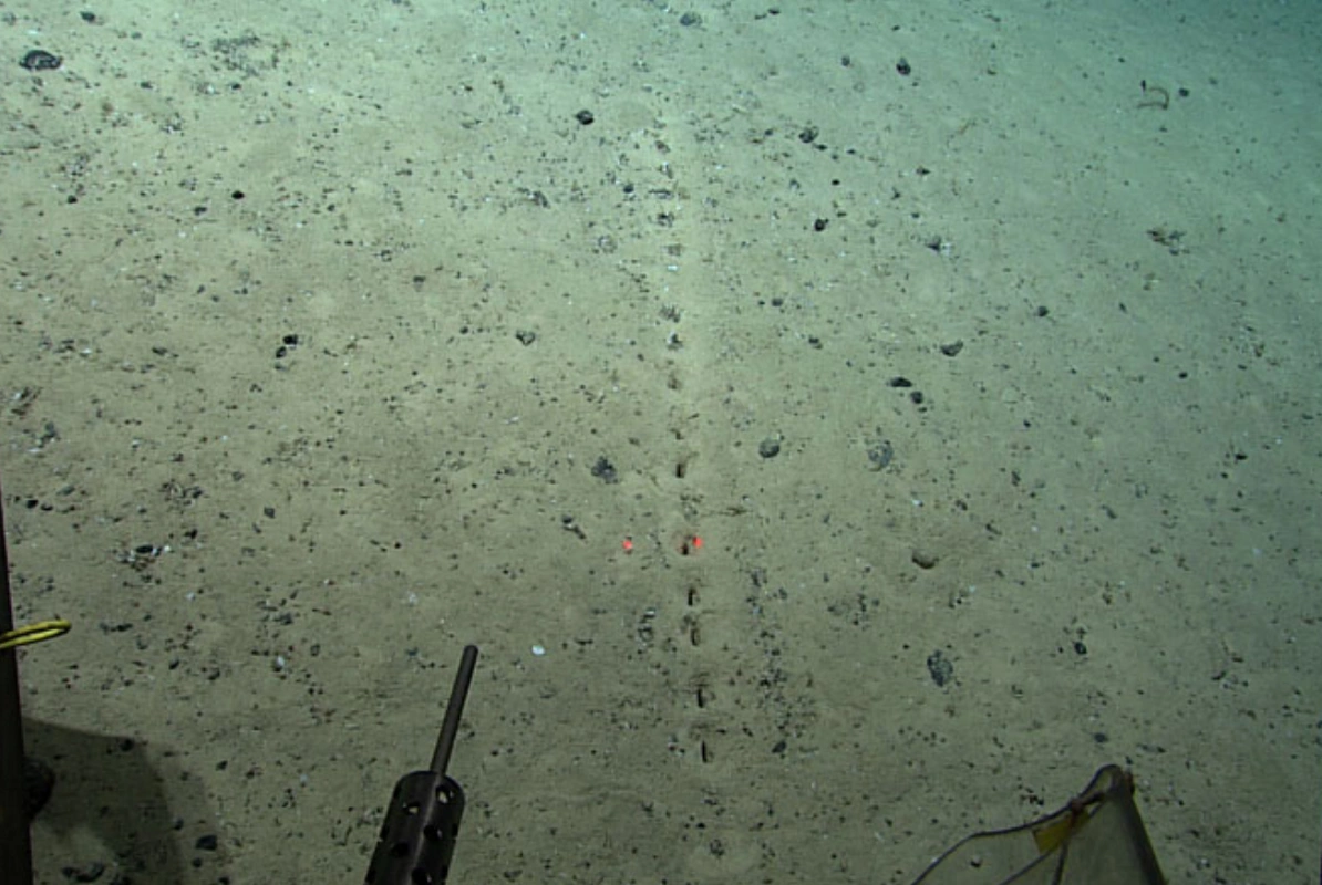
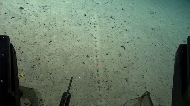
Məlumata görə, Azor adaları yaxınlığında 2.5 min metr dərinlikdə tapılan bu dəliklərin mənşəyi sirr olaraq qalır. Alimlər qeyd ediblər ki, uzunsov dəliklər, demək olar, bir düz xətt üzərində formalaşıblar.
Bundan əlavə, tədqiqatçıların fikrincə, dəliklərin kəskin forması onların yaradılmasında insanların əlinin də ola biləcəyini göstərir. NOAA bu izləri əsasən alətlərin buraxdığı izlərlə müqayisə edir.
Lakin qurumun bildirdiyinə görə, heç bir alim qrupu bu ərazidə iş gördüklərini təsdiqləməyib. Bundan əlavə, mütəxəssislər bu dəliklərin suyun dibində yemək axtaran naməlum heyvanların izləri olduğuna dair də ehtimal irəli sürüblər.